Archaeopria pristina
| Archaeopria pristina | |
|---|---|
| |
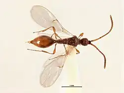
| specimen AMNZ86807 collected in Kaimanawa Forest on 2013-02-20 | |
| Scientific classification | |
| Kingdom: | Animalia |
| Phylum: | Arthropoda |
| Class: | Insecta |
| Order: | Hymenoptera |
| Family: | Diapriidae |
| Genus: | Archaeopria |
| Species: | A. pristina
|
| Binomial name | |
| Archaeopria pristina Naumann, 1988
| |
Archaeopria pristina is a species of parasitoid wasp belonging to the family Diapriidae.[1]
The species was first described in 1988 by Ian D. Naumann,[1][2] and is endemic to New Zealand.[3]
References
- ^ a b "IRMNG - Archaeopria pristina Naumann, 1988". www.irmng.org. Retrieved 21 May 2025.
- ^ Ian D. Naumann (30 December 1988). "Ambositrinae (Insecta: Hymenoptera: Diapriidae)". Fauna of New Zealand. 15. Department of Scientific and Industrial Research. doi:10.7931/J2/FNZ.15. ISSN 0111-5383. OCLC 436970413. Wikidata Q45081568.
- ^ Research, Landcare. "NZOR Name Details - Archaeopria pristina". www.nzor.org.nz. Retrieved 21 May 2025.
