Long Island MacArthur Airport

Long Island MacArthur Airport
Long Island MacArthur Airport’s terminal in 2018
Summary
Airport typePublic
Owner/OperatorTown of Islip
ServesLong Island and New York metropolitan area
Location100 Arrival Avenue
Ronkonkoma, New York, U.S.
Time zoneEST (UTC−05:00)
 • Summer (DST)EDT (UTC−04:00)
Elevation AMSL99 ft / 30 m
Coordinates40°47′43″N 073°06′01″W / 40.79528°N 73.10028°W / 40.79528; -73.10028
Websiteflymacarthur.com
Maps
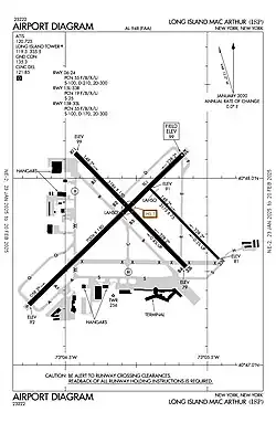
FAA airport diagram as of 2025
FAA airport diagram as of 2025
Runways
Direction Length Surface
ft m
06/24 7,006 2,135 Asphalt
15L/33R 3,175 968 Asphalt
15R/33L 5,186 1,581 Asphalt
Helipads
Number Length Surface
ft m
H1 50 15 Asphalt
H2 50 15 Asphalt
Statistics (2024)
Aircraft operations171,896
Based aircraft (2022)273
Total passengers1,361,000
Aerial view of MacArthur Airport
A welcome sign to the airport

Long Island MacArthur Airport (IATA: ISP, ICAO: KISP, FAA LID: ISP), formerly known as Islip Airport, is a public airport in Ronkonkoma, New York, within the Town of Islip in Suffolk County, on Long Island. Covering 1,311 acres (531 ha), the airport was established in 1942, activated in 1943, and began serving as a commercial airport in 1960. It has three runways and two helipads.[1][4]

Owned and operated by the Town of Islip, MacArthur Airport serves Nassau and Suffolk counties as an alternative to John F. Kennedy and LaGuardia airports – both of which are located in Queens, a borough of New York City.[5] Shuttle buses connect the airport to the Long Island Rail Road's Ronkonkoma station.

The Federal Aviation Administration (FAA) designated the airport an Official Metro Airport in early 2011,[6] meaning it is now grouped with LaGuardia, Kennedy, and Newark in travel and informational searches for New York airports, thus providing better exposure. MacArthur Airport does not share the congested airspace of the city-centric airports, and it has an exceptional record of on-time performance. In 2009, 83.6% of flights arrived on time and 85.6% of flights departed on time.[7]

In 2016, it had 124,154 aircraft operations, an average of 340 per day; 84% general aviation; 7% scheduled airline; 6% air taxi and 2% military. In 2024, the airport served more than 1.36 million airline passengers.[7] In July 2018, 247 aircraft were based at Islip: 141 single-engine, 30 multi-engine, 36 jets, 31 helicopters, and 9 military.[1] The town-owned Islip Foreign Trade Zone is adjacent & directly connected to the airport.[8]

History

Early years

In April 1942, the Town of Islip contracted with the federal government to build an airfield on town-owned land for military use.[9][10][11][12] Within months, the Civil Aeronautics Administration – the predecessor to today's Federal Aviation Administration – funded the construction of the airport and three paved runways through the federally-funded Development of Landing Areas for National Defense (DLAND) program.[9] Originally named Islip Airport, at the suggestion of Charles H. Duryea – a local elected official, the airport was renamed MacArthur Airport after U.S. Army General Douglas MacArthur, whose dramatic escape from the Philippines during World War II had captured the attention of the world.[10][12] The airport was officially activated in May 1943.[4]

In 1944, Lockheed Aircraft Corporation built the first hangar at the airport. Five years later, the Town of Islip built the airport's first terminal building, in preparation for airline flights. Through the 1950s, the Sperry Corporation conducted aerospace research at the airport.

In 1947, the Town of Islip offered the airport to the Port of New York Authority (which is today the Port Authority of New York and New Jersey). The offer was rejected by the authority because of the airport's location outside of the port region.[13]

Commercial service era

In 1960, Allegheny Airlines was the first scheduled passenger airline at Islip, flying to Boston, Philadelphia, and Washington, D.C. The March 1961 Official Airline Guide lists five weekday Convair 440 departures: a nonstop to Washington National, one to Baltimore, and three flights direct to Boston via several stops. The General Douglas MacArthur Terminal was completed in 1966.[10] In 1967 Mohawk Airlines began two Fairchild Hiller FH-227 flights a day, to Bridgeport and Albany and beyond with one flight continuing to Toronto. By 1969 Mohawk was flying BAC One-Elevens nonstop to Syracuse.[14] In 1972 Mohawk had nonstops to Albany with direct service to Buffalo and Rochester.[15] Mohawk would soon be merged into Allegheny Airlines.

In 1971, American Airlines began flying nonstop Boeing 727-100s to Chicago O'Hare Airport. By 1974 Allegheny had started BAC One-Elevens and McDonnell Douglas DC-9-30s nonstop to Albany and Ronald Reagan Washington National Airport, and direct jets to Burlington, Vermont, Cincinnati, and Detroit. Allegheny continued operating Convair 580s nonstop to Albany, Boston, Bridgeport, and Washington, D.C., in addition to direct Convair 580s to Buffalo and Rochester.[16] Allegheny would be renamed USAir, which then became US Airways, with these respective airlines operating service into the airport for many years before US Airways was merged into American.

The Official Airline Guide (OAG) shows the following passenger jets to Long Island MacArthur nonstop from the following at various times from the late 1960s to the late 1990s, with types:[17][14]

A number of commuter and regional airlines served the airport from the late 1970s to the late 1990s, including Allegheny Commuter, Altair Airlines, Atlantic Coast Airlines operating as United Express, Business Express Airlines operating as Delta Connection, Continental Express, Empire Airlines (1976-1985), Mall Airways, Metro Airlines Northeast operating as Trans World Express, Mohawk Airlines (a later commuter air carrier version), NewAir and its predecessor New Haven Airways, Piedmont Regional Airlines operating on behalf of Piedmont Airlines (1948-1989), Pilgrim Airlines, Precision Airlines operating as Northwest Airlink, Ransome Airlines and USAir Express and its successor US Airways Express.[20] According to the OAG, prop types operated by these smaller airlines to the airport included the ATR-42, Beechcraft 99, Beechcraft 1900C, BAe Jetstream 31, de Havilland Canada DHC-6 Twin Otter, de Havilland Canada DHC-7 Dash 7, de Havilland Canada DHC-8 Dash 8, Dornier 228, Embraer EMB-110 Bandeirante, Nord 262, Piper Navajo, Saab 340, Short 330, Short 360 and Swearingen Metro.

In 1989, construction of two small, four-gate concourses connected to the existing terminal building commenced. The project was completed in 1990; the two concourses included the first jet bridges installed at the airport.[21]

In 1994, Continental Express was operating ATR-42s nonstop between the airport and the Continental Airlines hub at Newark Airport.[22] By 1999, Atlantic Southeast Airlines (ASA) flying as Delta Connection was operating Canadair CRJ-200s nonstop to the Delta Air Lines hub in Atlanta while Comair, also flying as Delta Connection, was operating Canadair CRJ-200s nonstop to Delta's hub in Cincinnati. Also in 1999, Continental Express was flying Embraer ERJ-145s nonstop to the Continental Airlines hub in Cleveland.[23] Southwest Airlines also arrived at Islip in 1999, with nonstop Boeing 737-700s to Baltimore, Chicago Midway Airport, Nashville, and Tampa.[23][24]

In the early 2000s, Continental Express continued to serve the airport with nonstop regional jets to Cleveland while Continental Connection scheduled nonstop turboprops to Albany, New York; both services ended in 2005. Spirit Airlines scheduled flights to several Florida cities and Detroit, before moving to LaGuardia Airport in 2001; in May 2008 the airline resumed service to Fort Lauderdale from MacArthur, but dropped it shortly thereafter.[25][26] Delta Express, which had nonstops to Orlando and Fort Lauderdale, dropped MacArthur Airport in 2003 after a decline in traffic.[27][28] Delta Connection regional jet service to Atlanta flown by Atlantic Southeast Airlines (ASA) on behalf of Delta Air Lines ended on May 1, 2008, following a mid-April announcement that Delta and Northwest Airlines were planning to merge – a move that led to changes for the merged airline.[29]

Arrival Avenue in front of the terminal building in February 2023
Construction on the new control tower (left) started in 2008 and was completed in 2010, replacing the original, 1962 tower (right).[30]

Following the September 11, 2001 attacks, MacArthur Airport saw a 25% decrease in passenger traffic. Passenger traffic later increased, but they decreased again in 2006. Charts depicting annual operations and passenger boardings are in Appendix C and D. In 2005 MacArthur Airport had 173,135 total operations; during this year 1,055,832 passenger were enplaned, 7.07% more than 2004. In 2006 MacArthur had 189,390 total operations with 1,138,061 passenger boardings. The year 2007 brought total operations at MacArthur down to 184,760 but passenger boardings increased to 1,167,515, MacArthur's highest boardings in the last 6 years. In 2008, total operations at MacArthur were 179,230 and passenger boardings were down to 1,048,768; in 2009, 159,736 total operations and 929,902 passenger boardings. From 2005 to 2009 almost every category of MacArthur's operations has declined: airline, military, air taxi, and general aviation. A figure was released in the 2010s citing a 46.4% decrease from 2007 to 2012, the most loss in any small hub airport.[31][32] The figures rose back up as the decade progressed, but temporarily dipped down again in 2020 due to COVID-19. By 2023, the figures had again increased, with 1,278,000 passengers recorded that year.[33]

In 2004, MacArthur Airport embarked on an expansion that included a new, Gensler-designed Southwest Airlines terminal built by the airline at a cost of $65 million.[34][35][36][37] Phase one of the expansion included four gates to be used by Southwest, as well as space for shops and restaurants. Phase two, completed in November 2006, added four more gates for a total of eight new gates. Prior to the expansion project, passengers had to pass back through the ticketing area of the airport to reach the baggage claim area. With the completion of Phase two, the new concourse provided a more convenient exit point to baggage claim, ground transportation, and the airport's roadway exit. Nevertheless, the location of the baggage claim area still requires most travelers using the airport's long-term parking lots to pass back through the ticketing area of the airport to reach their vehicles. The construction of the 2004 expansion caused a scandal when it was discovered that the new concourse was built without the needed approvals from New York State and with numerous violations.[35][38][39]

The then-Suffolk County District Attorney Thomas J. Spotta, who was involved in the investigation of the scandal, stated that large portions of the new concourse were in violation of fire and safety codes, causing risks to public safety.[39][40] Violations included the main electrical control room being built with improperly-placed fire sprinklers, creating an explosion risk – and natural gas pipes being constructed right below the terminal's air conditioning intake manifolds, creating a risk for gas entering the terminal through its ventilation systems in the event of a gas leak.[35][39][40] Town officials eventually pled guilty to corruption charges in connection to the scandal, and work was done to rectify the violations and bring the terminal up to all safety and fire codes.[39][40][41][42]

A major proponent of the airport's 2004–2006 expansion projects was Peter J. McGowan, then the Islip Town Supervisor; the new concourse was named after McGowan.[43][44] The terminal was renamed the Veterans Memorial Concourse in homage to Long Island's distinction as home to more military veterans than almost any other community in the United States.[44]

As part of the new terminal project, there was also a proposal was made to move the Big Duck – a historic structure and tourist attraction long associated with Long Island – to the new terminal from its original location in Flanders on the South Fork, at an estimated cost of at least $60,000. It was claimed that this move would both boost the number of visitors and help to publicize the new terminal building at the airport.[45] Ultimately, the Big Duck was never relocated to MacArthur Airport, and on October 6, 2007, it was returned to its original location in Flanders.[46]

In late September 2007, Ryanair, an ultra-low cost airline based in Ireland, proposed to fly between MacArthur Airport and its hub in Dublin, Ireland.[47][48][49] The proposal was ultimately called off.[49]

A new control tower was completed in 2010 and opened in 2011 to replace the tower built in the early 1960s, which had become functionally obsolete and had fallen into disrepair.[50][51][52][53] In 2010, construction also began on a new Fuel Farm, which would the open the following year and increase the airport's jet fuel supply; it was built through a partnership between the Town of Islip and Southwest Airlines.[54][55][56][57] Soon thereafter, the roadway in front of the terminal was reconfigured; another taxiway was also constructed along with other projects using FAA airport improvement program funds. Development of the West Side, home to a thriving general aviation sector, was to be underway in late 2010.

While the airport continues to expand it has added numerous amenities, including free courtesy cell phone parking. In November 2009, MacArthur Airport became the only airport in the tri-state region to offer free wireless Internet service in the entire terminal and in the courtesy cell phone parking lot.[58] In addition, the airport launched several tools designed to provide up-to-date information to travelers, including its first official website, flyLIMA.com.[59]

In 2014, the airport opened an international arrivals & U.S. Customs facility for private plane passengers, which is able to accommodate non-U.S. Citizens.[60][61][62]

In January 2016, plans were announced to build a U.S. Customs Station at MacArthur Airport for commercial flights, with help from financial assistance from New York State Governor Andrew Cuomo – an attempt at making MacArthur an international destination and at enticing airlines to add MacArthur to their destinations; the proposal had been discussed for a number of years by local, state, and federal officials.[63][64][65][66] A marketing campaign for the airport was soon launched by the Town of Islip, including through advertisements on public transportation, digital marketing, and radio spots.[67] Additionally, a new logo and slogan were unveiled.[68]

Allegiant Air previously operated two weekly flights on a seasonal basis to Fort Myers/Punta Gorda, Florida using McDonnell Douglas MD-80s but no longer serves the airport.[29][69][70] PenAir began operating two daily nonstop flights to Boston in July 2013, but stopped flying to MacArthur a year later.[29] The last legacy carrier to serve Islip was American Airlines with Embraer ERJ-145 code share flights operated by its American Eagle Airlines regional affiliate Piedmont Airlines to Philadelphia. Service to Washington–National ended on July 2, 2014, after the merger between US Airways and American. The newly merged airline had to cut service to 17 cities from Washington–National because of an antitrust lawsuit preventing the airline from monopolizing slots at National Airport. American Airlines reapplied for nonstop service between MacArthur Airport and Washington–National when two slots opened up, but the airline lost the bid for both in early 2015.[71]

In January 2017, the airport was used as the landing location for the aircraft carrying Joaquin "El Chapo" Guzman to New York with law enforcement agents for his prosecution, following his arrest and extradition to the United States from Mexico.[72][73][74]

On July 17, 2017, Frontier Airlines announced service to 10 new cities using aircraft as large as the Airbus A321, which approaches the Boeing 757 in range and passenger capacity – a first for the airport in that past decade.[75][76] Breeze Airways began service to and from the airport in 2022 and added additional routes in 2023.[76][77]

In 2020, a new general aviation hangar opened at the airport.[78] Ground was also broken that year on a new intermodal transportation facility.[79]

In September 2022, American Airlines ended service to Islip citing a regional pilot shortage as the main reason behind the cut.[80] Also taking place in 2022 was the opening of a new ground transportation center at the airport. This facility houses all of the rental car agencies present on-site at the airport.[81][82] As of December 2022, Southwest operated year-round, non-stop service to Baltimore, Fort Lauderdale, Orlando, Tampa, Nashville, and West Palm Beach.

In February 2023, the airport property was designated as a superfund site due to chemicals being detected in the soil and groundwater; negotiations between the New York State Department of Environmental Conservation and the Town of Islip soon started, with both parties working to ensure the site's cleanup.[83][84][85]

Also taking place in February 2023 was the commencement of a major, $26 million terminal renovation project.[86][87] The Airport received an additional $2.7 million in federal funds for further terminal renovations that June.[87]

In February 2024, the Federal Aviation Administration approved the Town of Islip's plan to erect a new terminal on the north side of the airport, to be built as part of the Midway Crossing project.[88][89] The $3.3 billion project will consist of a new terminal and parking facilities; the new terminal will be directly connected to the Ronkonkoma Long Island Rail Road station via a pedestrian walkway.[88][89] The first phase of the terminal's construction will see the construction of eight gates.[88]

In June 2024, JetBlue announced that it would commence service at MacArthur Airport, with flights set to begin that October.[90][91][92] The airline's service at MacArthur Airport, by the end of 2024, became profitable faster than at any other airport it served.[93] It would announce expand its operations at the airport and add additional destinations in 2025.[94][95]

On March 11, 2025, Avelo Airlines announced service to MacArthur Airport, with flights beginning that May.[96]

On May 29, 2025, Cape Air announced that it would commence service at MacArthur on July 3, with multiple daily flights between it and Boston.[97]

Facilities

Runways and taxiways

A Southwest Airlines Boeing 737-700 taking off from Runway 24

The airport covers 1,311 acres (531 ha) of land and, as of 2025, has three runways and two helipads:[4][98]

Number Length Width Notes
06/24 7,006 feet (2,135 m) 150 feet (46 m) Equipped at both ends with an Instrument Landing System (ILS) and Approach Lighting Systems (ALS) with medium-intensity approach light system with runway alignment indicator lights (MALSR) – in addition to a precision approach path indicator (PAPI) Visual Glide Slope Indicator system.[99] Glide slope is 3.00° (both ends).[99] Instrument approach procedures are ILS, LOC, and RNAV (GPS) (06/24).[98][99] The ILS category for Runway 06 is SA CAT I-II.[99]

Runway surface is grooved asphalt.[4][98][99]

15R/33L 5,186 feet (1,581 m) 150 feet (46 m) Equipped at both ends with a precision approach path indicator (PAPI) Visual Glide Slope Indicator system.[98][99] Glide slope is 3.00° (15R) and 3.10° (33L).[99]

Runway surface is grooved asphalt.[4][98][99]

15L/33R 3,175 feet (968 m) 75 feet (23 m) Runway surface is asphalt.[4][98][99]
10/28 5,034 feet (1,534 m) 150 feet (46 m) Runway closed in the late 2010s. Runway 28 was equipped with a visual approach slope indicator (VASI) Visual Glide Slope Indicator system.[98][100]

Runway surface was asphalt.[98][99][100]

Helipad H1 50 feet (15 m) 50 feet (15 m) Helipad surface is asphalt.[4][98][99]
Helipad H2 50 feet (15 m) 50 feet (15 m) Helipad surface is asphalt.[4][98][99]

Terminal

Concourse A in February 2023

MacArthur Airport’s original terminal opened in 1966.[10] The terminal was expanded between 1989 and 1990, with the creation of two concourses with two gates each.[101] In 2004, construction commenced on the current terminal through an expansion and renovation project funded by Southwest Airlines; the terminal expansion was built off and replaced portions of the existing 1966 terminal, while other, existing portions were renovated.[34][36][37]

Additionally, the radio station WRCN-FM maintains its offices and studios within the airport.[102]

Air navigation

MacArthur Airport has a 158-foot (48 m) control tower, located on the south side of the airport.[50][51][52][53] The tower, which replaced one built in the early 1960s, was built at a cost of roughly $20 million (2010 USD) and includes a 525-square-foot (48.8 m2) control cab.[50][51][52][53]

The airport is also equipped with an Automated Surface Observing System (ASOS) for weather forecasting, in addition to having an Automatic Terminal Information Service (ATIS).[98]

Furthermore, the New York Air Route Traffic Control Center (ZNY) – known as an ARTCC for short – is located on the grounds of the airport.[103]

General aviation

A Heritage Flight Academy Cessna 172 at the airport

Long Island MacArthur Airport's houses numerous general aviation tenants and buildings. Tenants include Sheltair Aviation and ExcelAire – the latter of which is headquartered at the airport – as well as numerous flight schools, such as ATP Flight School.[104][105]

New York Army National Guard Aviation Regiment

142nd Aviation Regiment insignia

The 3rd Battalion (Assault Helicopter), 142nd Aviation Regiment of the New York Army National Guard, equipped with Sikorsky UH-60L Black Hawk helicopters, is headquartered at MacArthur Airport. The regiment is part of the larger 42nd Combat Aviation Brigade and 42nd Infantry Division. Until the early 1990s, the 2nd Battalion (Attack) of the regiment was based at MacArthur Airport, equipped with Bell Helicopter AH-1 Cobra (F model) gunships. In 2006, the 3rd Battalion (Assault), 142nd Aviation Regiment moved its headquarters from Latham, New York to Long Island MacArthur Airport, bringing its Black Hawk helicopters. In May 2007, following yet another reorganization in which the battalion was re-configured, the unit received its mobilization alert order to participate in Operation Iraqi Freedom. Over the course of their deployment, the unit – which came to be known as Task Force Jester – flew more than 15,000 flight hours. The last of the battalion's troops returned home to Long Island MacArthur Airport in May 2009. An Army Aviation Support Facility is also housed at the airport.[106]

Suffolk County Police Department Aviation Unit

The Suffolk County Police Department (SCPD) Aviation Section has a law enforcement and MEDEVAC helicopter based at MacArthur Airport. The base is staffed 24 hours a day by police pilots, as well as flight paramedics employed by the Stony Brook University Medical Center.

Civil Air Patrol

The airport is also home to Civil Air Patrol's Long Island Group's Suffolk Cadet Squadron 10.[107]

Jet fuel farm

The airport has a jet fuel farm with a maximum storage capacity of 300,000 gallons of jet fuel.[54][55][56][57]

Airport operations

Two of the airport's crash response trucks in 2008

Long Island MacArthur Airport's airspace is designated as class C with a ceiling 4,100 feet (1,200 m) above mean sea level when the airport's control tower is staffed.[108][109][110] Between midnight and 6:00 AM, when the control tower is closed, the airport's airspace reverts to class E.[108][109][110]

At night, Runway 15L/33R – the airport's smallest and narrowest runway – is not used for takeoffs or landings.[108][109]

All passenger food catering within the airport terminal is provided by HMSHost.[111]

Airport administration

Long Island MacArthur Airport is owned by the Town of Islip and is operated by the Town of Islip Department of Aviation.[60][112] The department is led by the Commissioner of Aviation and Transportation, which works closely with the Islip Town Council to manage & operate the airport. The Department of Aviation's divisions include Airport Operations, Custodial, Fire Rescue, Law Enforcement, Maintenance, Construction, and Administration.[112]

As of May 2025, the Commissioner of Aviation and Transportation is Rob Schneider.[97][112]

Access

The airport's Ground Transportation Center in February 2023

Car

MacArthur Airport's terminal is accessible from Veterans Memorial Highway (NY 454) via Johnson Avenue.[113] It is also accessible from the Long Island Expressway (I-495) via Exits 57, 59, and 60, as well as from Sunrise Highway (NY 27) via Exit 49.[113]

Public transportation

Bus

A Suffolk Transit bus stopped at the terminal in December 2023
Bus connections
Bus transport System Route(s) Refs
Suffolk County Transit 6 [114][115]

Suffolk Transit's Route 6 bus route serves the airport, connecting it with the Walt Whitman Mall in Huntington Station to the west, and the Patchogue LIRR station in Patchogue to the east.[115][116][117] Route 6 also stops at the Central Islip LIRR station.[115]

The Hampton Jitney's Westhampton, Montauk, and North Fork lines stop along the Long Island Expressway (I-495) at Exit 60. Known as the Islip Airport Connection, the stop is a short taxicab ride away from the airport terminal.[118]

Rail

Rail connections
System Station Line(s) Refs
Long Island Rail Road Ronkonkoma      Ronkonkoma Branch [119]
Central Islip
via SCT RT 6
[114][115]
Patchogue
via SCT RT 6
     Montauk Branch [114][115]

MacArthur Airport is connected with the Long Island Rail Road's adjacent Ronkonkoma station by shuttles and taxi service.[113][115][117] The LIRR offers passengers transportation to nearby New York City.[113][117] Additionally, Amtrak's Northeast Regional will begin serving the Ronkonkoma LIRR station – and thus the airport – in or about 2028, providing MacArthur Airport with inter-city rail service.[120]

The Central Islip and Patchogue stations are also accessible from the airport, via Suffolk County Transit's Route 6 bus route.[115][117]

Future developments

New terminal

A new passenger terminal will be constructed on the north side of the airport.[88][89][96][121] The project will see the erection of a new airport terminal and parking facilities; the new terminal will be directly connected to the Ronkonkoma Long Island Rail Road station via a pedestrian walkway.[88][89][122] The first phase of the new terminal's construction will include the construction of eight gates, in addition to a new, adjacent apron and taxiways linking the new facility with the existing taxiways and runways.[88][122]

In February 2025, New York state announced it is investing $150 million into the construction of the pedestrian connection between the train station and new airport terminal.[96][121][123] Two months later, on April 7, the Town of Islip issued a request for qualifications for the new terminal, which will be constructed and operated by a private developer.[124][125][126]

Amtrak service

In January 2025, it was announced that Amtrak will establish a new Northeast Regional route on Long Island, terminating at the Ronkonkoma LIRR station, thus providing MacArthur Airport with inter-city rail service.[120][127] As of January 2025, work is expected to begin in 2026, and Amtrak service is anticipated to commence two years later, in 2028.[127]

Airlines and destinations

Passenger

AirlinesDestinationsRefs
Avelo Airlines Lakeland,[128] Wilmington (NC)[128]
Seasonal: Charlotte/Concord[128]
[129]
Breeze Airways Charleston (SC), Fort Myers,[130] Norfolk, Raleigh/Durham, Vero Beach, Wilmington (NC) (begins October 2, 2025)[131]
Seasonal: Richmond, Sarasota[132]
[133]
Cape Air Boston[134] [135]
Frontier Airlines Orlando, Tampa, West Palm Beach
Seasonal: Fort Lauderdale, Fort Myers, Myrtle Beach
[136]
JetBlue Fort Lauderdale,[137] Orlando,[137] West Palm Beach[137]
Seasonal: Fort Myers (begins December 18, 2025),[138] Tampa (begins December 19, 2025)[138]
[139]
Southwest Airlines Baltimore, Orlando, Tampa, West Palm Beach
Seasonal: Miami[140]
[141]

Statistics

Passenger numbers

Annual passenger traffic at ISP, 2002–present[33]
Year Passengers Year Passengers Year Passengers Year Passengers
2002 1,840,000 2008 2,091,000 2014 1,294,000 2020 530,000
2003 1,897,000 2009 1,863,000 2015 1,207,000 2021 1,105,000
2004 1,983,000 2010 1,721,000 2016 1,192,000 2022 1,224,000
2005 2,121,000 2011 1,556,000 2017 1,292,000 2023 1,278,000
2006 2,284,000 2012 1,330,000 2018 1,618,000 2024 1,362,000
2007 2,337,000 2013 1,323,000 2019 1,545,000 2025

Airline Market Share

Largest airlines at ISP (June 2024 - May 2025)[7]
  1. Southwest, 672,000 (46.8%)
  2. Frontier, 465,000 (32.3%)
  3. Breeze, 153,000 (10.6%)
  4. JetBlue, 146,000 (10.2%)
  5. Avelo, 6,700 (0.05%)

Top destinations

Busiest domestic routes from ISP (May 2024 - April 2025)[33]
Rank City Passengers Carriers
1 Florida Orlando–International, Florida 197,660 Frontier, JetBlue, Southwest
2 Maryland Baltimore, Maryland 140,910 Southwest
3 Florida West Palm Beach, Florida 133,730 Frontier, JetBlue, Southwest
4 Florida Tampa, Florida 64,620 Frontier, Southwest
5 Florida Fort Lauderdale, Florida 50,780 Frontier, JetBlue
6 South Carolina Myrtle Beach, South Carolina 22,840 Frontier
7 Florida Fort Myers, Florida 22,680 Breeze, Frontier
8 North Carolina Raleigh-Durham, North Carolina 14,700 Breeze
9 South Carolina Charleston, South Carolina 14,220 Breeze
10 Florida Vero Beach, Florida 11,590 Breeze

Accidents and incidents

  • On April 4, 1955, a Douglas DC-6 of United Airlines operating on a pilot test flight bound for LaGuardia Airport lost control soon after take-off and subsequently crashed, killing all three crew members on board.[142]
  • On November 23, 1999, a U.S. Army National Guard UH-1H "Huey" helicopter crashed in fog during an attempted landing after training exercises above eastern Long Island; two were killed and two were injured.[143][144][145]
  • On July 25, 2008, a bomb threat was received for Southwest Airlines Flight 2622, bound for Chicago. Subsequently, Concourse A was evacuated for several hours and a thorough search of the airplane and building commenced. No dangerous items were found.[146]
  • On June 5, 2010, a Beechcraft Musketeer carrying a student pilot and instructor crashed into a commercial building just after taking off, bursting into flames.[147][148] The aircraft was destroyed in the fire, and both of the plane's occupants received injuries and burns.[148]
  • On January 7, 2011, a Bombardier Dash 8-100 operating as Piedmont Airlines Flight 4507 on behalf of American Airlines, with service from Philadelphia International Airport to Tweed New Haven Airport, had to divert to MacArthur after being struck by lightning over the Long Island Sound, causing electrical problems. The 33 passengers that were onboard were bussed to New Haven.[149][150]
  • On December 27, 2012, Southwest Airlines Flight 4695, a Boeing 737-700 bound for Tampa, FL skidded off the taxiway while heading to runway 6 for takeoff. The plane got stuck in the mud and sank up to its engines. The 134 passengers and crew were evacuated and bussed back to the terminal. Southwest sent a replacement plane, which took off over five hours later. The original plane was stuck for hours while crews attempted to remove it without damaging the landing gear or other parts. This caused departing flights to have to backtrack on runway 6 to get into position for takeoff [151] [152]
  • On November 1, 2018, Frontier Airlines Flight 1851, an Airbus A321 bound for Myrtle Beach, SC made an emergency landing at MacArthur Airport shortly after taking off from it, due to fumes in the cabin of the aircraft.[153] Thirteen of the occupants onboard were treated by medical personnel; two passengers and a crew member were subsequently transported to a nearby hospital for further treatment.[153][154]
  • On February 3, 2022, a Pilatus PC12 collided with a Hawker 1000 on the ramp. No one was injured.[155]
  • On October 28, 2023, a Robinson R22 helicopter crashed at the airport. There were no injuries.[156][157]
  • On July 22, 2024, a Beechcraft Bonanza crashed shortly after taking off from Runway 6, killing the pilot and his passenger.[158]
  • On August 13, 2025, JetBlue flight 547, an Airbus A320 bound for Orlando, FL suffered a serious engine failure in the number two (right) engine. The pilots coordinated with ATC and decided to divert. The plane made an emergency landing at John F. Kennedy International Airport in New York City. Upon a safe arrival, emergency services confirmed that the affected engine was "completely destroyed" [159]

Over the years, Long Island MacArthur Airport has been used several times as a filming location.[160][161][162][163]

In the 1970 film The Out-of-Towners, the airport scene – in which George Kellerman played by Jack Lemmon and his wife Gwen played by Sandy Dennis depart Ohio for New York – was filmed at MacArthur.[160] In 2008, several scenes for the independent film Every Day, starring Helen Hunt, Liev Schreiber, and Brian Dennehy were shot at the airport.[161] Scenes for the 2010 FX comedy Louie were also filmed at MacArthur.[161][162] In 2011, Sean Paul's music video "She Doesn't Mind" was filmed at the airport.[161] One year later, in 2012, part of the movie Non-Stop was filmed in various locations at ISP.[161] Two years later, in 2014, scenes from Ricki and the Flash were filmed at the airport.[163]

Foreign trade zone

Adjacent to the airport – and directly connected thereto – is the Town of Islip Foreign Trade Zone (also known as the Foreign Trade Zone at MacArthur Airport and the Islip Foreign Trade Zone).[8][164][165][166] The only designated foreign trade zone on Long Island outside of New York City, the industrial & business park is owned by the Town of Islip and managed by – and leased to – the Town of Islip Foreign Trade Zone Authority.[164][167][168] It is a magnet site for Foreign Trade Zone 52.[166]

The Islip Foreign Trade Zone was established in 1982.[165] It is located on 52 acres (21 ha) of land.[169] As of 2024, it consists of 14 buildings and has roughly 435,000 square feet (40,400 m2) of office & warehouse space.[164][165][169]

See also

References

  1. ^ a b c FAA Airport Form 5010 for ISP PDF, effective February 20,2025.
  2. ^ "Long Island Mac Arthur Airport". Retrieved February 17, 2018.
  3. ^ https://aspm.faa.gov/opsnet/sys/Airport.asp
  4. ^ a b c d e f g h "ISP airport at skyvector.com". skyvector.com. FAA data effective February 20, 2025.
  5. ^ Maloney, Jennifer (January 10, 2010). "The Little LI Airport That Could". Newsday. ProQuest 280363145.
  6. ^ "About MacAuthur Airport". Town of Islip. Retrieved July 1, 2013.
  7. ^ a b c "RITA BTS Transtats – ISP". transtats.bts.gov. September 2018.
  8. ^ a b "LONG ISLAND MACARTHUR AIRPORT: ISLIP'S CONNECTION TO THE WORLD". Islip IDA. Retrieved June 18, 2024.
  9. ^ a b "AIR CARGO CENTER MAPPED AT ISLIP; Town and Corporation Agree Also on Industrial Fringe for MacArthur Field REGIONAL BENEFIT IS SEEN Option Is Taken on 14 Acres and Carriers Are Said to Be Interested in Project". The New York Times. August 8, 1952. ISSN 0362-4331. Retrieved June 14, 2024.
  10. ^ a b c d Waldvogel, Robert G. (July 11, 2023). "Long Island MacArthur: New York's Secondary Airport". Metropolitan Airport News. Retrieved June 14, 2024.
  11. ^ "Islip Board Approves Proposal To Improve MacArthur Airport". The New York Times. April 26, 1964. ISSN 0362-4331. Retrieved June 17, 2024.
  12. ^ a b Suffolk County News Archive, April 3, 1942
  13. ^ "REJECTS OFFER BY ISLIP; Port Authority Says MacArthur Airport Is Out of Territory". The New York Times. September 25, 1947. ISSN 0362-4331. Retrieved December 22, 2021.
  14. ^ a b "April 27, 1969, Mohawk Airlines route map". www.departedflights.com. Retrieved June 30, 2025.
  15. ^ "February 1, 1972, Mohawk Airlines system timetable". www.departedflights.com. Retrieved June 30, 2025.
  16. ^ "March 1, 1974, Allegheny Airlines system timetable". www.timetableimages.com. Retrieved June 30, 2025.
  17. ^ "Official Airline Guide (OAG) editions: April 1, 1974; November 15, 1979; April 1, 1981; February 15, 1985; December 15, 1989; October 1, 1991; April 2, 1995; June 1, 1999". www.departedflights.com. Retrieved June 30, 2025.
  18. ^ "February 1, 1987, Continental Airlines employee system timetable". www.departedflights.com. Retrieved June 30, 2025.
  19. ^ http://www.departedflights.com, December 1, 1986, New York Air timetable
  20. ^ http://www.departedflights.com, Official Airline Guide (OAG) editions: November 15, 1979; April 1, 1981; February 15, 1985; December 15, 1989; October 1, 1991; April 2, 1995; June 1, 1999
  21. ^ Gray, Katti (November 1, 1989). "Airport Upgrade Gets off the Ground". Newsday. pp. 29NN. ProQuest 278198384.
  22. ^ Feb. 1994 OAG Pocket Flight Guide, Long Island MacArthur flight schedules
  23. ^ a b http://www.departedflights.com, June 1, 1999, Official Airline Guide
  24. ^ McDowell, Edwin (November 26, 1998). "MacArthur Airport Grows Along With Low-Cost Domestic Flights". The New York Times. ISSN 0362-4331. Retrieved December 22, 2021.
  25. ^ "Spirit Air considering ISP service to FLL". Newsday. Retrieved January 10, 2018.
  26. ^ Yahoo Finance Video (July 22, 2017). "Spirit Airlines Attacks Record Fuel Prices". Yahoo!. Retrieved July 27, 2017.
  27. ^ Roy, Roger (July 25, 1997). "Delta Express to Fly Daily to New York". Orlando Sentinel. Retrieved June 13, 2024.
  28. ^ "Delta Express departing Islip". Long Island Business News. February 28, 2003. Retrieved June 13, 2024.
  29. ^ a b c Powderly, Henry (May 21, 2014). "7 airlines that flew away from LI's MacArthur Airport". Newsday. Retrieved June 13, 2024.
  30. ^ "About Long Island MacArthur Airport". Archived from the original on May 2, 2009. Retrieved July 6, 2009.
  31. ^ Ruud, Candice (December 21, 2013). "MacArthur Airport struggling to reverse losses". Newsday. Archived from the original on December 24, 2013.
  32. ^ Ruud, Candice (December 22, 2013). "Southwest Airlines: No plans to leave MacArthur". Newsday. Archived from the original on December 24, 2013.
  33. ^ a b c "Air Carrier Statistics (Form 41 Traffic)- U.S. Carriers". BTS, Transportation Statistics. Bureau of Transportation Statistics. Retrieved August 6, 2025.
  34. ^ a b Rather, John (March 2, 2003). "IN BRIEF; Southwest Expanding At MacArthur Airport". The New York Times. ISSN 0362-4331. Retrieved December 22, 2021.
  35. ^ a b c Peddie, Sandra (June 21, 2006). "Inside Troubled Expansion: New Southwest Terminal at LI MacArthur Airport". Newsday. ProQuest 279987895.
  36. ^ a b "Southwest Airlines Terminal – MacArthur Airport". Bliss Fasman. Retrieved February 17, 2023.
  37. ^ a b "Long Island MacArthur Airport". bld architecture. Retrieved February 18, 2023.
  38. ^ "Inside Troubled expansion new SW terminal at LI MacArthur Airport". Airline Forum - Air Travel Forum / Flying Forum. Retrieved May 9, 2018.
  39. ^ a b c d Fischler, Marcelle S. (February 17, 2008). "She's Got Grand Plans for the Future of the Islip Airport". The New York Times. ISSN 0362-4331. Retrieved May 9, 2018.
  40. ^ a b c Mead, Julia C. (August 2, 2006). "Town Official Pleads Guilty to Airport Scheme on L.I." The New York Times. ISSN 0362-4331. Retrieved June 15, 2024.
  41. ^ Mancini, Rosamaria (January 5, 2005). "Expansion by Southwest Airlines Awakens a Drowsing MacArthur". The New York Times. ISSN 0362-4331. Retrieved June 13, 2024.
  42. ^ "In Memory of Pete McGowan". The New York Times. March 19, 2006. Retrieved April 21, 2008.
  43. ^ Mancini, Rosamaria (January 5, 2005). "Expansion by Southwest Airlines Awakens a Drowsing MacArthur". The New York Times. ISSN 0362-4331. Retrieved June 13, 2024.
  44. ^ a b "In Memory of Pete McGowan". The New York Times. March 19, 2006. Retrieved April 21, 2008.
  45. ^ McShane, William (August 29, 2004). "Make Way for The Big Duck". The New York Times. Archived from the original on May 28, 2015. Retrieved June 12, 2017.
  46. ^ Finn, Robin (October 14, 2007). "Big Duck Is Back at Hamptons' Gateway". The New York Times. ISSN 0362-4331. Archived from the original on June 29, 2024. Retrieved June 23, 2024.
  47. ^ Peterson, Barbara S. (April 6, 2008). "MacArthur Expands Its Wings". The New York Times. ISSN 0362-4331. Retrieved December 22, 2021.
  48. ^ "Decision time at MacArthur; The airport is a regional asset, and Islip must be a careful steward". aviationpros.com. September 28, 2007. Retrieved December 22, 2021.
  49. ^ a b Sleter, Greg (June 30, 2015). "Long Island's MacArthur needs more than Wow Air". Long Island Business News. Retrieved December 22, 2021.
  50. ^ a b c Armaghan, Sarah (September 15, 2015). "Aging control tower at Long Island MacArthur Airport soon to be torn down". Newsday. Retrieved February 18, 2023.
  51. ^ a b c "New Control Tower Dedicated At Long Island's MacArthur Airport". CBS New York. May 20, 2011. Retrieved February 18, 2023.
  52. ^ a b c "FAA Dedicates New Air Traffic Control Tower for Long Island MacArthur Airport". International Airport Review. May 20, 2011. Retrieved February 18, 2023.
  53. ^ a b c "MacArthur Airport Tower in Trouble". Aviation Pros. December 14, 2006. Retrieved June 16, 2024.
  54. ^ a b Sleter, Greg (April 22, 2011). "MacArthur Airport Expands Fuel Farm". West Islip, NY Patch. Retrieved June 13, 2024.
  55. ^ a b Crichton, Sarah (April 21, 2011). "Fuel farm opens at MacArthur Airport". Newsday. Retrieved June 13, 2024.
  56. ^ a b Callegari, John (April 21, 2011). "MacArthur unveils jet fuel facility". Long Island Business News. Retrieved June 13, 2024.
  57. ^ a b "Down on the Fuel Farm". community.southwest.com. May 4, 2011. Retrieved June 13, 2024.
  58. ^ MacGowan, Carl (November 24, 2009). "Cablevision wires MacArthur Airport for Internet access". Newsday.
  59. ^ www.flyLIMA.com
  60. ^ a b Chang, Sophia (February 10, 2014). "MacArthur Airport expands international flight services". Newsday. Retrieved June 14, 2024.
  61. ^ "Long Island's MacArthur Airport Could Soon Get International Flights". CBS New York. September 18, 2015. Retrieved June 13, 2024.
  62. ^ "CBP General Aviation Airport Fact Sheets". NBAA - National Business Aviation Association. Retrieved June 13, 2024.
  63. ^ "Cuomo: Make MacArthur Airport an international hub". News 12 - Long Island. January 6, 2016. Retrieved June 13, 2024.
  64. ^ "SCHUMER: U.S. DEPT. OF CUSTOMS SHOULD WORK HAND-IN-GLOVE WITH LI MACARTHUR AIRPORT IN DEVELOPING A CUSTOMS FACILITY TO ACCOMMODATE INTERNATIONAL TRAVEL; CLOSE COORDINATION WITH FEDS WILL MAKE SURE 'MACARTHUR INTERNATIONAL' IS READY FOR TAKE-OFF ASAP | U.S. Senator Chuck Schumer of New York". www.schumer.senate.gov. January 29, 2016. Retrieved June 13, 2024.
  65. ^ "Officials plan to make MacArthur Airport international". News 12 - Long Island. September 17, 2015. Retrieved June 13, 2024.
  66. ^ "Schumer Wants MacArthur Airport To Provide International Flights". CBS New York. June 10, 2013. Retrieved June 13, 2024.
  67. ^ Chalifoux, Rick (March 30, 2017). "New slogan, big plans". The Islip Bulletin. Retrieved June 13, 2024.
  68. ^ Ruud, Candice (February 7, 2016). "Reinventing MacArthur Airport a challenge, experts say". Newsday. Retrieved June 13, 2024.
  69. ^ Mutzabaugh, Ben (August 20, 2013). "Big expansion: Allegiant targets NYC, Charlotte markets". USA TODAY. Retrieved June 13, 2024.
  70. ^ Callegari, John (April 9, 2014). "Allegiant suspending MacArthur service". Long Island Business News. Retrieved June 13, 2024.
  71. ^ "American Airlines loses bid to restore MacArthur-DC route". Times Union. Albany. Associated Press. January 8, 2015. Archived from the original on February 6, 2015. Retrieved February 6, 2015.
  72. ^ "'El Chapo' Heads To New York To Face Prosecution". CBS New York. January 19, 2017. Retrieved June 18, 2024.
  73. ^ Murphy, Mary (February 12, 2019). "PIX11 Exclusive: The guy who got El Chapo". PIX11. Retrieved June 18, 2024.
  74. ^ "Mexican drug lord El Chapo lands in New York to face charges". Canadian Broadcasting Corporation. Associated Press. January 19, 2017. Retrieved June 18, 2024.
  75. ^ Liu, Jim (September 25, 2017). "Frontier Airlines outlines launch date for new routes in S18". Routesonline. Retrieved January 10, 2018.
  76. ^ a b Pallini, Thomas (April 15, 2018). "Frontier Breathes New Life into Struggling Long Island Airport". AirlineGeeks.com. Retrieved November 17, 2018.
  77. ^ Ledda, Brianne (February 14, 2023). "Breeze Airways adding two new seasonal destinations from Long Island MacArthur". Newsday. Retrieved February 15, 2023.
  78. ^ Harmon, Brian (October 15, 2020). "Islip's MacArthur Airport boosts charter service, opens 'showcase' hangar facility". Greater Long Island. Retrieved June 13, 2024.
  79. ^ "MacArthur Airport Opens New Intermodal Transport Facility". Metropolitan Airport News. October 22, 2020. Retrieved June 13, 2024.
  80. ^ Genn, Adina (June 22, 2022). "American Airlines ending service to MacArthur". Long Island Business News. Retrieved March 13, 2025.
  81. ^ "Long Island MacArthur Airport Unveils New Ground Transportation Center". Metropolitan Airport News. March 27, 2022. Retrieved February 12, 2023.
  82. ^ Hineman, Brinley (March 24, 2022). "Central ground transportation hub unveiled at LI MacArthur". Newsday. Retrieved June 13, 2024.
  83. ^ Ledda, Brianne (February 18, 2023). "State DEC lists Long Island MacArthur Airport as Superfund site". Newsday. Retrieved June 12, 2024.
  84. ^ Ledda, Brianne (February 1, 2024). "Islip to begin testing at MacArthur Superfund site, officials say". Newsday. Retrieved June 13, 2024.
  85. ^ Ledda, Brianne (July 24, 2023). "Long Island MacArthur Airport Superfund site: State DEC, Islip negotiating agreement on cleanup, officials say". Newsday. Retrieved December 22, 2023.
  86. ^ Ledda, Brianne (February 22, 2023). "Construction now underway on $26M in improvements at MacArthur Airport". Newsday. Retrieved December 22, 2023.
  87. ^ a b Brodsky, Robert (June 16, 2023). "Long Island MacArthur Airport gets $2.7 million in federal money for terminal improvement". Newsday. Retrieved December 22, 2023.
  88. ^ a b c d e f Desmond, Sam (February 1, 2024). "$3.3 billion airport project clears FAA approval". The Suffolk County News. Retrieved June 12, 2024.
  89. ^ a b c d Ledda, Brianne (January 7, 2024). "Midway Crossing development project clears a hurdle with FAA approval". Newsday. Retrieved June 12, 2024.
  90. ^ Millman, Jennifer (June 11, 2024). "JetBlue is bringing service to Long Island this fall — and tickets are on sale now". NBC New York. Retrieved June 12, 2024.
  91. ^ Ledda, Brianne (June 12, 2024). "JetBlue adding service out of Islip's Long Island MacArthur Airport to Florida". Newsday. Retrieved June 12, 2024.
  92. ^ Seelig, Jenn (October 24, 2024). "JetBlue's nonstop flights to Florida from Long Island's MacArthur Airport begin". News 12 Long Island. Retrieved January 15, 2025.
  93. ^ Ledda, Brianne (January 15, 2025). "JetBlue to offer daily flights from Long Island MacArthur Airport to Boston starting April 30". Newsday. Retrieved January 15, 2025.
  94. ^ Kmack, Sam (August 14, 2025). "JetBlue offers $49 flights from MacArthur Airport to Florida". Newsday. Retrieved August 14, 2025.
  95. ^ "JetBlue to add new flights to Fort Myers, Tampa from MacArthur Airport". News 12 - Default. Retrieved August 14, 2025.
  96. ^ a b c Kmack, Sam; MacGowan, Carl (March 11, 2025). "Avelo to offer flights from Long Island MacArthur". Newsday. Retrieved March 11, 2025.
  97. ^ a b Kmack, Sam (May 29, 2025). "Cape Air to launch new flights from MacArthur to Boston". Newsday. Retrieved May 29, 2025.
  98. ^ a b c d e f g h i j k "New York State Airport System Plan, 2008 Technical Report" (PDF). New York State Department of Transportation. June 2009. Retrieved June 16, 2024.
  99. ^ a b c d e f g h i j k l "AirNav: KISP - Long Island Mac Arthur Airport". www.airnav.com. Retrieved February 9, 2025.
  100. ^ a b "ISP 2017 Airport Master Plan – Executive Summary" (PDF). Town of Islip. 2017. Retrieved June 16, 2024.
  101. ^ Gray, Katti (November 1, 1989). "Airport Upgrade Gets off the Ground". Newsday. pp. 29NN. ProQuest 278198384.
  102. ^ "LI News Radio". linewsradio.com. Retrieved June 16, 2024.
  103. ^ "New York Air Route Traffic Control Center (ZNY) | Federal Aviation Administration". www.faa.gov. Retrieved February 18, 2023.
  104. ^ "Hawthorne Global Aviation Services - Jet Charters". Archived from the original on June 14, 2021. Retrieved September 6, 2014.
  105. ^ "General Aviation". macarthurairport.com. Retrieved July 5, 2017.
  106. ^ "New York National Guard Soldiers save civilian pilot from fiery crash". www.army.mil. June 6, 2017. Retrieved June 17, 2024.
  107. ^ "Civil Air Patrol – Long Island Group, New York Wing". groupliny.cap.gov. Archived from the original on February 6, 2025. Retrieved February 9, 2025.
  108. ^ a b c "Long Island MacArthur Airport (ISP) PILOT INFORMATION" (PDF). www.faa.gov. Federal Aviation Administration. February 23, 2023. Retrieved June 18, 2024.
  109. ^ a b c "Long Island MacArthur Airport (ISP)". Federal Aviation Administration. Retrieved June 18, 2024.
  110. ^ a b "Background on Airspace" (PDF). Republic Airport. Retrieved June 18, 2024.
  111. ^ Staff, LIBN (October 27, 2006). "It's up, up and away at MacArthur Airport | Long Island Business News". Retrieved June 18, 2024.
  112. ^ a b c "Long Island MacArthur Airport – Town of Islip". islipny.gov. Retrieved June 18, 2024.
  113. ^ a b c d "Long Island Index: Interactive Map". Long Island Index Maps. Long Island Index.
  114. ^ a b c Route 6.pdf (sctbus.org) Bus Service
  115. ^ a b c d e f g "System Map". sctbus.org. Retrieved December 22, 2023.
  116. ^ "Bus Service". macarthurairport.com. Retrieved December 22, 2021.
  117. ^ a b c d "Ground Transportation". www.flymacarthur.com. Retrieved June 15, 2024.
  118. ^ "Hampton Jitney - Airport Connections". www.hamptonjitney.com. Retrieved June 15, 2024.
  119. ^ https://www.macarthurairport.com/ground-trans/lirr LIRR
  120. ^ a b Crawford, Logan (January 10, 2025). "Suffolk County executive: Amtrak coming to Ronkonkoma LIRR station". News 12 Long Island. Retrieved January 15, 2025.
  121. ^ a b Crawford, Logan (March 11, 2025). "Avelo Air to begin flights from MacArthur Airport". News 12 - Default. Retrieved March 11, 2025.
  122. ^ a b "ISP Terminal Project | HOME". ispterminal.com. Retrieved April 15, 2025.
  123. ^ "Governor Hochul Invests $150 Million to Connect MacArthur Airport to LIRR's Ronkonkoma Station | Governor Kathy Hochul". www.governor.ny.gov. Retrieved March 11, 2025.
  124. ^ MacGowan, Carl (April 8, 2025). "Islip seeks developer for new MacArthur Airport terminal". Newsday. Retrieved April 8, 2025.
  125. ^ Winzelberg, David (April 8, 2025). "Town seeks developer and operator for new MacArthur Airport terminal". Long Island Business News. Retrieved April 8, 2025.
  126. ^ "Town of Islip looks for private investor for MacArthur Airport". News 12 - Default. April 8, 2025. Retrieved April 8, 2025.
  127. ^ a b White, Mike (January 15, 2025). "Massive plans inch forward in Ronkonkoma, and Amtrak on the way". Greater Long Island. Retrieved January 15, 2025.
  128. ^ a b c "Avelo Airlines Announces 13 New Routes and Three New Destinations to its Growing Network". PR Newswire. Retrieved March 11, 2025.
  129. ^ "Destinations". Archived from the original on July 15, 2021. Retrieved August 19, 2021.
  130. ^ Ledda, Brianne (June 25, 2024). "Breeze Airways adding new service from MacArthur Airport to Fort Myers, Florida". Newsday. Retrieved June 25, 2024.
  131. ^ "Breeze Airways Expands Across the United States with New Routes to Fort Lauderdale, Salisbury, Akron-Canton, Daytona Beach, Jacksonville, Key West, Pensacola, and More Starting This Fall". Travel and Tour World. May 7, 2025. Retrieved May 7, 2025.
  132. ^ "Breeze Airways announces nonstop service from MacArthur Airport to Sarasota, Florida". News12 Long Island. August 7, 2024. Retrieved August 7, 2024.
  133. ^ "Explore Breeze Airways destinations". Breeze Airways. Retrieved January 9, 2024.
  134. ^ Hoey, Peggy Spellman (May 29, 2025). "Cape Air To Fly Between Boston And Long Island MacArthur Airport 4 Times Daily". Patch. Retrieved May 29, 2025.
  135. ^ "Cape Air - Where We Fly". Archived from the original on March 31, 2018. Retrieved March 31, 2018.
  136. ^ "Frontier". Retrieved May 21, 2018.
  137. ^ a b c "JetBlue Expands New York Metro Presence by Announcing it will Serve Long Island MacArthur Airport". Business Wire. June 11, 2024.
  138. ^ a b "JetBlue Expands Route Network With New Flights to Florida and Caribbean". Travel Pulse. August 14, 2025. Retrieved August 14, 2025.
  139. ^ "JetBlue Airlines Timetable". Archived from the original on July 13, 2013. Retrieved August 5, 2018.
  140. ^ Liu, Jim (June 6, 2024). "Southwest Airlines Oct/Nov 2024 Network Additions". Aeroroutes. Retrieved June 6, 2024.
  141. ^ "Check Flight Schedules". Retrieved May 21, 2018.
  142. ^ "L. I. Crash Kills 3 Veteran Airline Pilots On Take-Off During Routine Check Hop". The New York Times. April 5, 1955. Retrieved June 15, 2024.
  143. ^ Ranter, Harro (April 4, 1955). "ASN Aircraft accident Douglas DC-6 N37512 Islip-MacArthur Field, NY (ISP)". aviation-safety.net.
  144. ^ Newman, Andy (November 24, 1999). "2 Killed and 2 Hurt in Crash Of Helicopter on Long Island". The New York Times. Retrieved January 10, 2018.
  145. ^ McQuiston, John T. (November 25, 1999). "Investigation Begins Into Why Army Helicopter Crashed at L.I. Airport". The New York Times. Retrieved January 10, 2018.
  146. ^ "Long Island Mac Arthur Airport". www.airports-worldwide.com. Retrieved February 18, 2023.
  147. ^ "Small Plane Crashes Into an Unoccupied Commercial Building". Fox News. Associated Press. March 25, 2015. Retrieved June 17, 2024.
  148. ^ a b abc7NY. "Small plane crashes into industrial building on Long Island". ABC7 New York. Retrieved June 17, 2024.{{cite web}}: CS1 maint: numeric names: authors list (link)
  149. ^ Nash, Denise (January 7, 2011). "US Airways Flight Struck by Lightning Lands Safely". Sayville-Bayport, NY Patch. Retrieved June 14, 2024.
  150. ^ "Conn.-Bound Flight Safely Lands At MacArthur Airport". CBS New York. January 7, 2011. Retrieved June 14, 2024.
  151. ^ "Tampa-bound Southwest flight veers off taxiway and into mud at Long Island airport". December 28, 2012. Retrieved August 19, 2025.
  152. ^ "Plane veers off taxiway at MacArthur Airport in Islip | ABC7 New York | abc7ny.com". ABC7 New York. Retrieved August 19, 2025.
  153. ^ a b "Plane Forced to Return to MacArthur Airport With Fumes in Cabin; 13 People Treated". NBC New York. November 1, 2018. Retrieved June 17, 2024.
  154. ^ Thomas, Elizabeth (November 1, 2018). "MYR-bound plane makes forced landing in New York". WPDE. Retrieved June 17, 2024.
  155. ^ Spellman, Peggy (February 3, 2022). "2 Planes Collide At Long Island MacArthur Airport". Sachem, NY Patch. Retrieved June 14, 2024.
  156. ^ "Helicopter with 2 on board crashes at Long Island MacArthur Airport, FAA says". CBS New York. October 28, 2023. Retrieved June 14, 2024.
  157. ^ Mongelli, Lorena (October 28, 2023). "Helicopter crash at MacArthur Airport, no injuries". Newsday. Retrieved June 14, 2024.
  158. ^ Cheng, Pei-Sze; Shea, Tom (July 23, 2024). "2 killed after small plane crashes at MacArthur Airport on Long Island: Officials". NBC New York. Retrieved July 23, 2024.
  159. ^ "JetBlue flight from MacArthur with 'completely destroyed' engine makes emergency landing at JFK, records show". Newsday. August 19, 2025. Retrieved August 19, 2025.
  160. ^ a b Kern, Kathleen C. (March 29, 1984). "AS I SEE IT: MacArthur Neighbors Can't Rest Easy With Fly-by-Night Field". Newsday. p. 80. Retrieved June 15, 2024 – via Newspapers.com.
  161. ^ a b c d e Rudd, Candice (January 3, 2013). "Star flight". Newsday. p. A21. ProQuest 1266106382.
  162. ^ a b Crichton, Sarah (April 18, 2011). "MacArthur gets TV show star spot". Newsday. p. A28. ProQuest 862230789.
  163. ^ a b Guzman, Rafer (October 21, 2014). "Meryl Streep films new movie 'Ricki and the Flash' at Long Island MacArthur Airport". Newsday.
  164. ^ a b c "Town of Islip Foreign Trade Zone Authority – Home". islipftz.com. Retrieved April 17, 2025.
  165. ^ a b c Solnik, Claude (May 13, 2024). "Foreign Trade Zones: The Facts Behind Them". www.longislandpress.com. Retrieved April 17, 2025.
  166. ^ a b "Suffolk County Foreign-Trade Zone #52". suffolkcountyny.gov. Retrieved April 17, 2025.
  167. ^ Bauman, Valerie (April 23, 2018). "Only one company fully participating in LI's foreign trade zone". Newsday. Retrieved April 17, 2025.
  168. ^ Samuels, Michael H. (October 2, 2008). "Islip's Foreign Trade Zone courts businesses". Long Island Business News. Retrieved April 17, 2025.
  169. ^ a b Hineman, Brinley (January 11, 2022). "Islip's Foreign Trade Zone eyeing 120,000-square-foot expansion in first build since 1990". Newsday. Retrieved April 17, 2025.