Sigara arguta
| Sigara arguta | |
|---|---|
| |
| Scientific classification | |
| Kingdom: | Animalia |
| Phylum: | Arthropoda |
| Class: | Insecta |
| Order: | Hemiptera |
| Suborder: | Heteroptera |
| Family: | Corixidae |
| Genus: | Sigara |
| Species: | S. arguta
|
| Binomial name | |
| Sigara arguta (White, 1878)
| |
| Synonyms | |
|
Corixa arguta | |
Sigara arguta is a species of water boatman in the family Corixidae.[1] It is endemic to New Zealand.[2]
Taxonomy
This species was first described as Corixa arguta in 1878 by Francis Buchanan White.[3] It was most recently revised in 1948, in which it was moved to the Sigara genus.[4][5]
Description
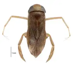
Water boatman are stubby insects approximately 8 millimetres (0.31 in) in length. They have a distinctive marble pattern on their wing cases and long legs which assist their movement through the water. Their abdominal hairs are able to capture small air bubbles used to keep them afloat and these can often be seen upon close observation.[6] They swim with their "belly" facing downwards, unlike other common swimming insects.[1] S. arguta mouth parts are covered by a beak-like triangular labium.[1][5]
S. arguta use their forelegs to scoop up algae and detritus which they then eat.[1]
Distribution and habitat
This species is widespread throughout New Zealand, including on Chatham Island. S. arguta are found across both temporary and permanent freshwater ecosystems.[7] They are typically found in slow-moving bodies of water, such as rivers and streams, lakes, ponds and even man-made pools such as cow troughs.[1]
Conservation status
Under the New Zealand Threat Classification System, this species is listed as "Not Threatened".[8]
References
- ^ a b c d e "Water boatman". www.landcareresearch.co.nz. Landcare Research New Zealand Ltd. Retrieved 12 August 2017.
- ^ "Sigara arguta (White, 1878)". www.nzor.org.nz. Landcare Research New Zealand Ltd. Retrieved 12 August 2017.
- ^ White, F. B. 1876: Descriptions of three new species of Hemiptera–Heteroptera from New Zealand. Entomologist’s Monthly Magazine 13: 105–106
- ^ Hungerford, H. B. 1948: The Corixidae of the Western Hemisphere (Hemiptera). Kansas University Science Bulletin 32: 1–827.
- ^ a b Larivière, M.-C., & Larochelle, A. (2004). Heteroptera (Insecta: Hemiptera): catalogue. Fauna of New Zealand, 50. https://doi.org/10.7931/J2/FNZ.50
- ^ Marsh, Norman (2004). Trout Stream Insects of New Zealand. Stackpole Books. ISBN 0811701301.
- ^ Galatowitsch, M. (2014). Invertebrate life-history trade-offs and dispersal across a pond- permanence gradient (PDF) (PhD). Canterbury, New Zealand: University of Canterbury.
- ^ Grainger, N.; Harding, J.; Drinan, T.; Collier, K.; Smith, B.; Death, R.; Makan, T.; Rolfe, J. 2018: Conservation status of New Zealand freshwater invertebrates, 2018. New Zealand Threat Classification Series 28. Department of Conservation, Wellington. 25 p
External links
- Critter of the Week: The Water Boatman on RNZ, 18 November 2022

